
Oil spills are catastrophic events for marine and coastal ecosystems, with devastating consequences for wildlife. When oil contaminates water, it disrupts food chains, habitats, and reproductive systems. Some animals are particularly vulnerable due to their biology, habitat, or reliance on clean water for survival. Here’s a look at 15 animals most affected by oil spills and the challenges they face.
Sea Otters

Sea otters rely on their dense fur for insulation, as they lack the blubber layer that protects many marine mammals from cold water. When oil coats their fur, it destroys its insulating properties, leaving them vulnerable to hypothermia. Also, otters often ingest toxic oil while grooming themselves, leading to organ damage and poisoning.
Dolphins

Dolphins are highly susceptible to oil spills because they must surface to breathe, exposing them to toxic fumes and oil-coated water. The oil can irritate their sensitive skin and damage their respiratory systems when inhaled. Long-term exposure may lead to weakened immune systems, reproductive issues, and increased mortality rates.
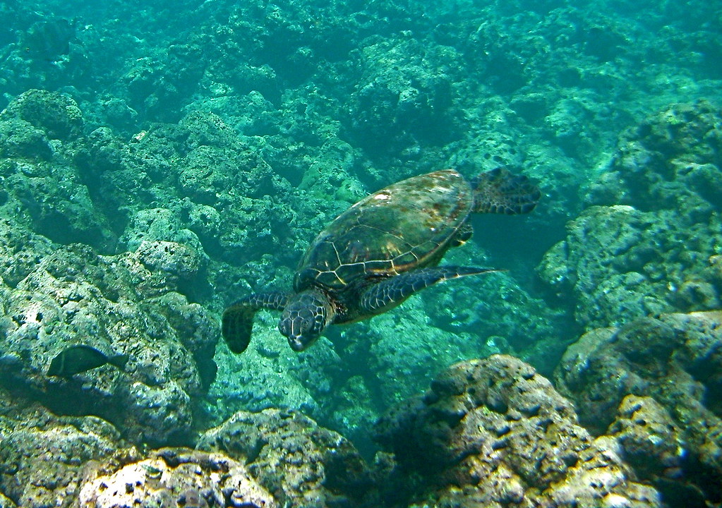
Sea Turtles

Oil spills are devastating for sea turtles, which are often caught in contaminated waters. Oil can coat their shells and skin, causing irritation and reducing their buoyancy. Ingesting oil-contaminated prey or swallowing tar balls can lead to internal injuries, digestive issues, and death. Hatchlings are particularly at risk as they navigate polluted beaches and water.
Birds (e.g., Pelicans, Cormorants, and Gulls)

Birds that rely on water for feeding, such as pelicans and cormorants, are among the most visibly affected by oil spills. Oil coats their feathers, destroying their waterproofing and insulating properties, leaving them vulnerable to hypothermia. Ingesting oil while preening or feeding contaminates their digestive systems, often leading to fatal poisoning.
Crabs and Lobsters

Crustaceans like crabs and lobsters are bottom-dwellers that come into direct contact with oil that sinks to the seabed. Oil disrupts their gill function and clogs their habitats, leading to suffocation or contamination. As filter feeders, they also ingest toxic chemicals, which can lead to long-term population declines.
Whales

Whales, particularly those that feed near the surface, are highly vulnerable to oil spills. Baleen whales ingest large quantities of oil-contaminated water while filtering plankton, while toothed whales risk inhaling toxic fumes at the surface. Oil exposure damages their respiratory systems, disrupts their feeding habits, and weakens their immune systems.
Coral Reefs

Although not an animal in itself, coral reefs are critical ecosystems that support countless marine species. Oil spills can smother coral, blocking sunlight and disrupting photosynthesis. The toxins in oil can also kill coral polyps, leading to large-scale reef degradation, which impacts the countless animals that depend on them.
Fish (e.g., Tuna, Salmon, and Mahi-Mahi)

Fish are severely affected by oil spills, particularly during their early life stages. Oil contaminants disrupt the development of eggs and larvae, leading to population declines. Adult fish can absorb oil through their gills, resulting in respiratory problems, reduced growth rates, and reproductive issues.
Manatees

Manatees are slow-moving mammals that feed on seagrasses in shallow waters. Oil spills contaminate their food sources and coat their skin, causing irritation and impairing their ability to regulate body temperature. Inhaling toxic fumes while surfacing to breathe can lead to respiratory illnesses and long-term health effects.
Shellfish (e.g., Oysters, Mussels, and Clams)

Shellfish are stationary filter feeders, making them particularly vulnerable to oil spills. They accumulate toxins from the contaminated water, which can kill them or render them unsafe for human consumption. Oil spills can devastate entire shellfish beds, disrupting ecosystems and local economies reliant on their harvest.
Polar Bears

Polar bears are at risk from oil spills in Arctic regions where drilling and shipping activities take place. If oil coats their fur, it reduces its insulating properties, increasing the risk of hypothermia. Polar bears may also ingest oil when hunting contaminated prey, leading to poisoning and reproductive harm.
Sea Birds (e.g., Puffins and Murres)

Diving seabirds like puffins and murres are especially vulnerable to oil spills because they rely on clean feathers for waterproofing and insulation. Oil exposure leads to hypothermia and prevents effective flight and foraging. Many birds die from starvation or toxic ingestion after being exposed to oil spills.
Shrimp

Shrimp are small but vital players in the marine food chain. When oil spills sink into their habitats, shrimp populations suffer from disrupted reproduction, contaminated feeding grounds, and habitat destruction. These effects ripple throughout the ecosystem, impacting predators that rely on shrimp as a food source.
Seals

Seals are often directly impacted by oil spills when they swim through contaminated water. Oil coats their fur, reducing its insulating properties and leaving them prone to hypothermia. Ingesting oil while grooming or feeding can cause internal damage and exposure to toxins can impair reproduction and immune function.
Plankton

Plankton, the foundation of the marine food web, are among the most severely affected by oil spills. These tiny organisms absorb oil and toxins directly from the water, which disrupts their reproduction and population levels. Since many marine animals depend on plankton for food, their decline has a cascading effect on entire ecosystems.